土地 鈴鹿市稲生塩屋1丁目
所在地
鈴鹿市稲生塩屋1丁目
1,900万円
418.05坪
広い土地なので、今人気の平屋も建築可能!
・セブン-イレブン 鈴鹿野村町店まで車で3 分(1.2 km)
・F☆マート サーキット通り店まで車で6 分(2.2 km)
・クスリのアオキ 稲生店まで車で4 分(1.3 km)
物件概要
- 交通
-
名古屋線 まで 徒歩22分
- 接道状況
- 東側 公道
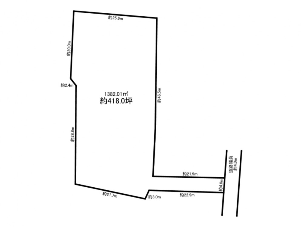
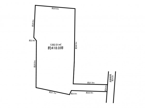
- 土地面積
- 1382.01㎡ (418.05坪)
- 建ぺい率
- 容積率
- 土地権利
- 所有権
- セットバック
- 無し
- 小学校区
- 稲生 ( 1400m )
- 中学校区
- 白子 ( 2300m )
- 私道負担
- 無
- 建築条件
- ー
- 地目
- 現況
- 引渡時期
- 上水道
- 下水道
- ガス
- 都市計画
- 用途地域
- 1種住居
- 設備・条件
- 備考
- 取引態様
- 仲介

