土地 鈴鹿市南玉垣町
所在地
鈴鹿市南玉垣町
1,790万円
60.46坪
小学校・スーパーが近くて、23号線へのアクセスも良好!
・ザ・ビッグエクストラ 鈴鹿玉垣店まで徒歩で6 分(450 m)
・セブン-イレブン 鈴鹿桜島5丁目店まで徒歩で5 分(350 m)
・MEGAドン・キホーテUNY 鈴鹿店まで徒歩で8 分(550 m)
・ウエルシア鈴鹿桜島店まで徒歩で7 分(500 m)
物件概要
- 交通
-
伊勢鉄道 まで 徒歩14分
三交バス「桜島四丁目」バス停 徒歩3分 分
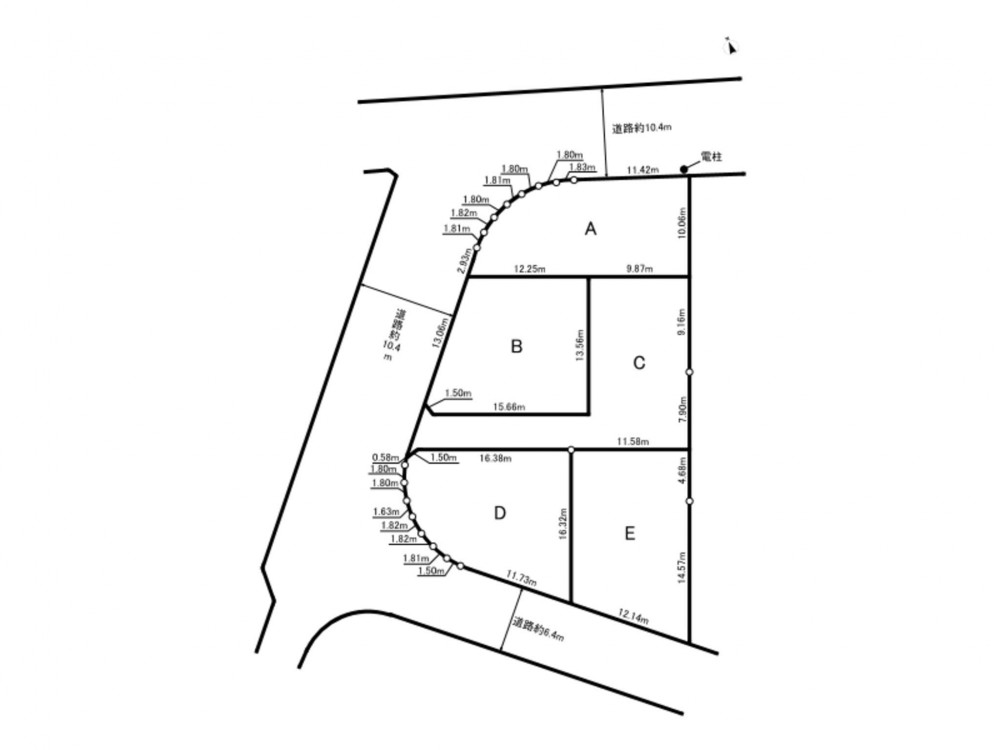
- 接道状況
- 西側 公道10.4m
- 土地面積
- 公簿 199.89㎡ (60.46坪)
- 建ぺい率
- 60%
- 容積率
- 200%
- 土地権利
- セットバック
- 無し
- 小学校区
- 桜島 ( 230m )
- 中学校区
- 白子 ( 2000m )
- 私道負担
- 無
- 建築条件
- あり
- 地目
- 宅地
- 現況
- 更地
- 引渡時期
- 相談
- 上水道
- 公共
- 下水道
- 公共
- ガス
- 都市ガス
- 都市計画
- 市街化区域
- 用途地域
- 1種中高
- 設備・条件
- 側溝
- 備考
- 取引態様
- 仲介
建築条件付きの土地につきましては、土地売買契約締結後3カ月以内に当社の指定する建設業者と請負契約が成立しない場合には土地売買契約は解除され、受領した金額は全額無利息でお返しします。

